
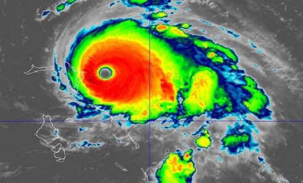
В Атлантическом океане ураган «Дориан» достиг пятой категории, которая считается наивысшей. Об этом сообщил Twitter
com/widgets.js";fjs.parentNode.insertBefore(js,fjs);}}(document,"script","twitter-wjs"); по слежению за ураганами.
По словам специалистов, скорость ветра достигает 257 км/ч. В ближайшее время в эпицентре стихии окажутся острова Абако Багамского архипелага.
Ожидается, что после того, как ураган пройдет острова, он отклонится на северо-восток и затронет юго-восточное побережье Соединенных Штатов, пишет Associated Press.
Тем не менее, власти предупредили, что даже если эпицентр шторма обойдет прибрежную зону стороной, она все равно пострадает от сильных ливней.
В данный момент на Багамских островах закрыты отели, заколочены дома, а жителей эвакуируют из низкорасположенных районов на более крупные острова.
Свежие комментарии